近期
南山区招商领玺家园有业主
向奥一新闻反映称
小区居民楼下规划建设社康中心
遭到不少业主反对
他们担心社康中心给毗邻的幼儿园
带来高风险疾病传播
且投入运营后相关医疗废材
会对居民生活造成一定的影响
小区也会变成开放式的场所
不少业主对社康选址的合理性表示质疑

社康中心内部
该社康的选址是否合适?
本期《接诉即办》带你一探究竟


业主
社康中心正对幼儿园
担忧带来多项风险
深圳房地产信息网显示,招商领玺小区建设用地面积约1.4万㎡,总建面约9.1万㎡,容积率4.98,包含3栋38-44层住宅建筑及1栋3层高幼儿园,于2019年11月28日开盘。
招商领玺家园小区居民林女士(化名)表示,前阵子小区3栋业主群里有人说起一至三层要建社康中心,群里才开始讨论起这个事情。
“(社康)入口挺隐蔽的,附近和门口也没有相关的指示牌,所以很少人注意到这里要建社康。这个社康的规模有多大、医疗类型有哪些、对小区居民带来的风险能否规避,这些我们都不清楚。”

社康中心内部

社康中心内部
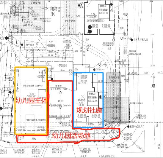
毗邻幼儿园,不利于小区安全管理
其认为,规划场地两面正对小区幼儿园,窗口零距离直面操场,幼儿直接面临疾病传播高风险;同时社康开放后较难保障小区的安全管理,小区内部将几乎成为开放式场所。

社康与幼儿园的位置关系。受访者供图
奥一新闻记者走访现场,业主提到的社康中心位于招商领玺小区3栋一至三层,四楼以上为住户住宅。该社康中心还未正式运营,中心内部一共有三十多个房间,部分房间里已经设有洗手池、镜子等。社康中心毗邻招商领玺幼儿园,两栋建筑物中间是幼儿园的活动场地,有小操场和游乐设施等。

社康中心二楼的窗口向外拍摄
医疗废弃排污与居民楼公用一体
林女士还表示,招商领玺小区拟建社康中心的体量较大,总面积为1300平方米,医疗废弃排污与领玺42层居民楼公用一体。
“此前,交房不满2年就已经有几起厨房和卫生间返水漫屋的事件发生,我们担心有医疗排污反流居民区的风险。”
购房合同未告知建设社康中心
“当初购房签合同时,作为格式条款,开发商并没有人当场明确指出该项风险,导致部分业主不知道有社康这回事,而且合同上提到的也是社区服务中心。我们认为该项规划并未充分征求业主作为利益相关人的意见。”林女士希望有关部门能进行现场勘察并重新规划。

受访者供图
辖区内已存在另外一所社康
另一位业主郑先生反映称,前海妈湾片区同社区内已存在一所社康服务中心即“深圳市南山区医疗集团总部前海湾社区健康服务中心”,距离小区拟规划社康中心仅781米,可辐射招商领玺小区及周边小区居民,“完全没有必要再建一个新的。”
林女士告诉奥一新闻记者,其曾向南山区卫生健康局反映招商领玺社康中心选址问题,该局以短信方式回复称——
“经向南山卫健局负责社康的具体科室核实,未在南山卫健局管理的社康名单里查询到该社康名称。另外,经了解,南山区南山街道荔湾社区招商领玺家园举办社康一事,目前仅处于选址阶段,该社康用地的所有权及使用权均未移交至南山卫健局,南山卫健局无权处理所反映的事项。”
小区物业工作人员向记者表示,有几十户即近十分之一的住户向物业反映了情况,物业已经收集业主意见并反馈至社区和街道。
“对于后期社康是否进驻、以什么形式进驻、什么时候运营等问题,不在我们物业的能力范围内,物业这边不太清楚。”
前海管理局
房屋预售合同附件有相关标明
未来投入使用后将按照规定安全运营
奥一新闻记者从深圳市前海深港现代服务业合作区管理局了解到,根据《深圳市城市规划标准与准则》及该宗地《土地使用权出让合同书》《深圳市建设用地规划许可证》,该社康中心建筑面积不少于1300平方米。2020年,该社区健康服务中心建成。根据该项目《深圳市房屋建筑面积测绘报告》,建成的社康中心建筑面积1406.14平方米,其中一层建筑面积497.84平方米,二层建筑面积451.28平方米,三层建筑面积457.02平方米。
就业主提出的疑问
该局作出回应
此前是否曾正式向购房的小区业主告知社康中心的相关设置?
前海管理局回复称,该项目在《土地使用权出让合同书》《建设用地规划许可证》均明确应配建社区健康服务中心和幼儿园等公共设施,即在土地开发阶段均明确。根据开发商提供的项目房屋预售合同,在附件二标明了共用设施和附属配套项目“社康中心”。
正在运营使用的前海湾社康中心距离领玺家园小区社康中心仅七百多米,新建社康中心的选址是否合理?
前海管理局表示,根据《深圳市城市规划标准与准则》,居住用地应配置不同层次的公共设施,社区健康服务中心为社区级公共设施。在深圳市的居住区配建社康中心也是常规做法,为居民基本生活水平提供必备的保障和服务。
《深圳市城市规划标准与准则》规定,服务规模每3-5万人应设置一处建筑面积≥1000米的社康中心。现状前海湾社康中心与领玺家园社康中心虽直线距离仅700多米,但被主干路梦海大道分隔,分别服务于两个不同片区。
领玺家园小区社区健康服务中心目前尚未投入使用,后续将移交南山区有关部门统筹安排。未来投入使用时,小区业主提出的医疗废水、废物处理、人流交叉等问题,将按照相关规定安全运营。
奥一新闻记者注意到,《深圳市南山区社区健康服务机构设置规划(2021-2025年)》指出,按照常住人口超过10万人且辖域内无区级综合医院的街道至少有1家4500㎡以上的社区医院、常住人口超过2万人的社区至少有1家1400㎡以上的社康中心、其他社区至少有1家社康站的标准进行社康机构规划,以“一社区一社康”为目标完善“15分钟就医圈”。
在场地保障方面,上述文件提到,加强社康机构用地用房的前置规划保障,规资部门保障社区医院建设所需的医疗用地,城市更新部门在城市更新项目中、住建部门在新建住宅小区中按照最新标准预留社康机构用房。
接诉即办 · 第46期
接办单位
深圳市前海深港现代服务业合作区管理局
总体评价
80分 良
介入速度 20分
理由:在接到记者反馈的情况后,该局对项目情况进行了解。
处理进度 21分
理由:该局逐一回应小区业主提出的疑问。
处理效果 19分
理由:对于小区业主担忧的各项风险,该局表示,未来投入使用时,领玺家园小区社康中心的医疗废水、废物处理、人流交叉等问题,将按照相关规定安全运营。
奥一基层治理研究员评价 20分
理由:于小区居民而言,建在住宅楼里的社康中心是一项难以忽视的重要规划,对未知的医疗废水废物处理、安全管理等存有担忧也是情理之中。根据部门提供的资料,该处社康中心的建设有其依据。后续正式投入使用后,相关部门应对向小区居民披露更多细节,与居民加强沟通和联系。
此事件中,值得探讨的地方是,部分业主认为短时间内如果要对购房合同的所有事项一一详细了解确认,这对购房人提出的要求较高。若新建小区(特别是期房)拟建社康中心,售房时开发商对该事项尽到提醒义务的具体内容是什么,比如是否需要向潜在购房人进行口头告知等。让购房者有条件尽量全面知悉小区重要规划,有利于减少后续纠纷的产生,同时保障片区民生项目的正常推进。
采写:奥一新闻记者 詹越慧 实习生 陈姝颖
除特殊标注外,图片均由记者拍摄
视频:罗骏贤
设计:郑柏琪



